Η μαγειρική σόδα είναι ένα υλικό το οποίο μπορούμε να το χρησιμοποιήσουμε για πάρα πολλά πράγματα, από καθαριστικό για τα πάντα, ακόμα και σε έπιπλα, μέχρι και σε φαγητό για έξτρα μυρωδιά.
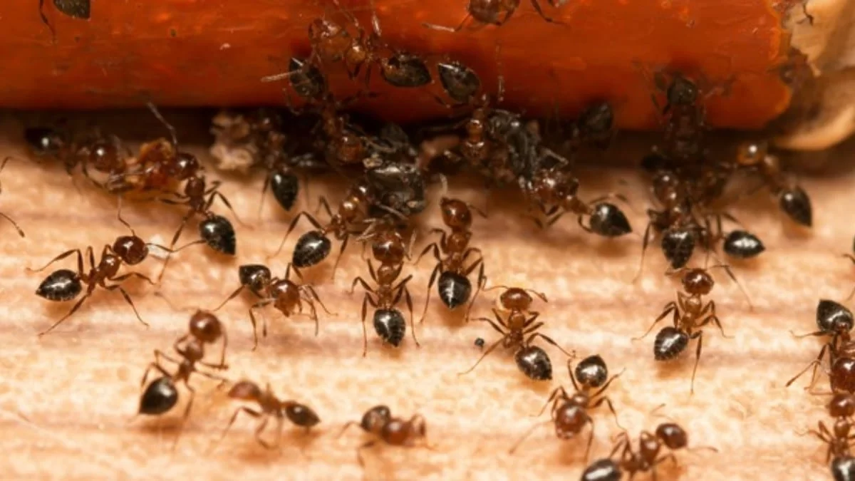
Τώρα λοιπόν που καλοκαιριάζει, αρχίζουν και βγαίνουν όλο κι περισσότερα μυρμήγκια, το αιώνιο πρόβλημα που έχουμε όλοι στα σπίτια μας. Εάν έχεις πρόβλημα από εισβολή μυρμηγκιών στο σπίτι σου, σου έχουμε την λύση, η οποία είναι πανεύκολη αλλά και θαυματουργή.
Μυρμήγκια τέλος με μαγειρική σόδα και ζάχαρη
Το μόνο που πρέπει λοιπόν να κάνεις είναι να πασπαλίσεις ίση ποσότητα ζάχαρης και μαγειρικής σόδας στα σημεία που τα έχεις εντοπίσει. Αυτή η παγίδα θα εξοντώσει μια και καλή τους απρόσκλητους επισκέπτες της κουζίνας σου.

Εξαφάνισε με μαγειρική σόδα και ένα άλλο αιώνιο πρόβλημα
Μετά το απίστευτο μυστικό σπιτικό μείγμα που σας αποκαλύψαμε με κύριο συστατικό την μαγειρική σόδα για να πέσει η τρίχα από την ευαίσθητη περιοχή χωρίς να πρέπει να υπομείνετε τον πόνο από το laser (δείτε το μείγμα εδώ) αποφασίσαμε να μοιραστούμε μαζί σας ακόμα ένα σωτήριο μυστικό για τώρα το καλοκαιράκι!
Δεν έχει σημασία αν έχεις σώμα μοντέλου ή όχι. Η κυτταρίτιδα «χτυπάει» σε όλες την πόρτα. Είναι ο φόβος και ο τρόμος των γυναικών που δεν την έχουν και ο μόνιμος εχθρός αυτών που – δυστυχώς- την έχουν εμφανίσει διότι παρά το γεγονός, ότι μπορεί να έχουν προσπαθήσει να την εξαφανίσουν ακολουθώντας αυστηρά υγιεινή διατροφή, πίνοντας άφθονο νερό και κάνοντας γυμναστική, εκείνη πολλές φορές δεν λέει να φύγει από πάνω τους.
Σύμφωνα μάλιστα με στοιχεία 80% των γυναικών αντιμετωπίζουν το συγκεκριμένο αισθητικό θέμα και ανάμεσα σε αυτές πολλές διάσημες, όπως η Κιμ Καρντάσιαν και η Σιένα Μίλερ.

Παρόλα αυτά, η Ναταλία Ρόμπινσον, ειδική στην περιποίηση δέρματος, προτείνει μια οικονομική και αποτελεσματική λύση για την καταπολέμηση της κυτταρίτιδας, η οποία δεν έχει να κάνει με αισθητικές επεμβάσεις ή θεραπείες, αλλά απαιτεί τη χρήση δύο προϊόντων από την κουζίνα σου.


">
">
">
">
">
">
">